흔한 잡초인 줄 알았는데…피로 싹 가시게 한다는 천연 자양강장제 ‘한국 나물’
||2026.03.31
||2026.03.31
겨울의 끝자락과 봄의 시작이 교차하는 3월 말은 인체가 급격한 외부 환경 변화에 직면하는 시기다. 기온이 상승함에 따라 신체 신진대사 속도가 빨라지며, 이 과정에서 체내 비타민 소모량은 겨울철 대비 최소 3배에서 많게는 10배까지 급증한다. 만약 이 시기에 적절한 영양 공급이 이루어지지 않을 경우, 인체는 극심한 피로감과 함께 이른바 '춘곤증'이라 불리는 일시적인 무기력증에 빠지게 된다.
특히 일교차가 10도 이상 벌어지는 환절기에는 우리 몸이 체온 유지를 위해 막대한 에너지를 소모한다. 이는 면역력의 급격한 저하로 이어져 각종 질환에 취약한 상태를 만든다. 전문가들은 이러한 신체적 스트레스를 극복하고 면역 체계를 강화하기 위해 제철 식재료를 통한 영양 보충이 필수적이라고 강조한다. 나른해진 신진대사를 깨우고 환절기 건강을 지켜줄 5가지 봄 제철 식재료의 영양학적 가치와 올바른 섭취법을 분석했다.
◇ 간 해독의 전령사, 냉이의 단백질과 콜린 성분
봄을 알리는 대표적인 나물인 냉이는 채소류 중에서는 이례적으로 높은 단백질 함량을 자랑한다. 단순히 비타민 공급원에 그치지 않고 신체 구성 성분인 단백질과 칼슘, 비타민 A 및 C를 풍부하게 함유하고 있어 영양 불균형 해소에 탁월하다.
특히 주목해야 할 성분은 '콜린(Choline)'이다. 콜린은 간 기능을 촉진하고 내장 운동을 활성화하는 역할을 수행한다. 이는 간경화와 같은 간 질환 예방에 긍정적인 영향을 미치며, 체내 독소를 배출하는 해독 작용을 돕는다. 혈중 콜레스테롤 수치를 정상화하는 데 기여하며, 한의학적으로는 간에 쌓인 열을 내리는 효과가 있어 눈의 충혈이나 통증을 완화하는 데도 냉잇국 등이 자주 권장된다.
◇ 혈관과 식욕을 깨우는 알리신의 힘, 달래'작은 마늘'이라는 별칭을 가진 달래는 특유의 알싸한 맛이 특징이다. 이 맛의 핵심인 '알리신' 성분은 강력한 항균 작용과 함께 혈액순환을 촉진하는 역할을 한다. 또한 달래에는 철분이 다량 함유되어 있어 환절기 빈혈 예방과 식욕 부진을 해소하는 데 효과적이다.
달래의 영양을 온전히 섭취하기 위해서는 조리법에 주의가 필요하다. 달래에 포함된 비타민 C는 열에 매우 취약하여 가열 시 쉽게 파괴되는 성질이 있다. 따라서 가급적 생으로 섭취하는 무침 형태가 권장된다. 이때 조리 과정에서 식초를 소량 첨가하면 비타민 C의 파괴 속도를 늦출 수 있을 뿐만 아니라 달래 특유의 풍미를 더욱 살려준다.
◇ 미세먼지 시대의 호흡기 보호막, 방풍나물방풍나물은 이름 그대로 풍(風)을 예방한다는 의미를 지닐 만큼 약용 가치가 높은 식재료다. 현대에 들어서는 황사와 미세먼지가 기승을 부리는 봄철 호흡기 건강을 지키는 '천연 방패'로 주목받고 있다. 방풍나물에 함유된 쿠마린 성분은 혈전 생성을 방지하며, 항산화 성분인 플라보노이드 계열의 헤스페리딘 등이 혈관 탄력을 유지하는 데 기여한다.
특히 방풍나물은 호흡기 점막을 보호하고 강화하는 데 탁월한 효능이 있는 것으로 분석된다. 다만 방풍나물은 미량의 독성을 포함하고 있어 섭취 전 반드시 끓는 물에 살짝 데쳐 독성을 제거하는 과정이 필수적이다. 식감을 위해서는 억센 줄기보다는 연한 어린순을 선택하는 것이 좋으며, 수분 손실을 막기 위해 키친타월에 감싸 보관하는 등 관리가 필요하다.
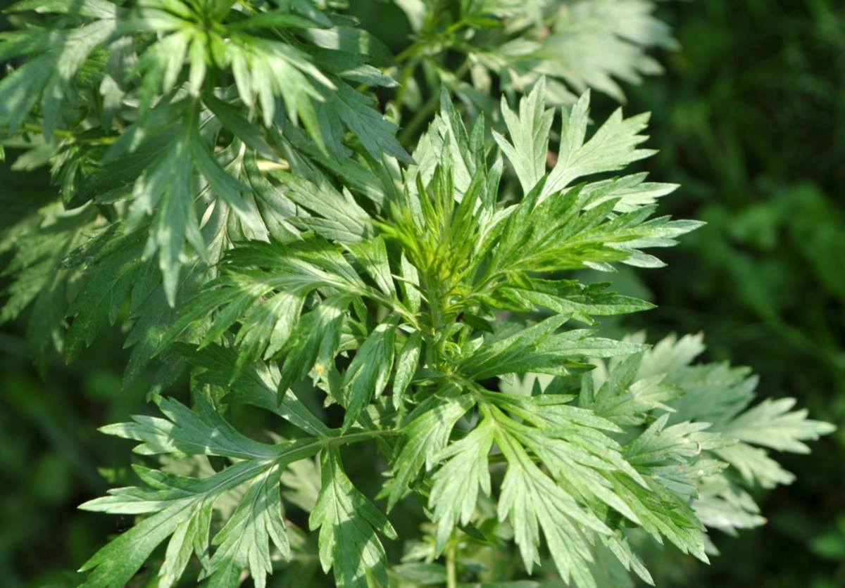
◇ 냉증 개선과 면역력 증강의 원동력, 쑥
척박한 환경에서도 자라나는 강인한 생명력의 상징인 쑥은 미네랄이 풍부한 알칼리성 식품이다. 쑥의 가장 큰 특징은 따뜻한 성질에 있다. 이러한 성질은 신체의 혈액순환을 개선하여 수족냉증이나 부인과 질환을 완화하는 데 효과를 발휘한다. 또한 체내 지방 대사를 돕는 성분이 포함되어 있어 체중 관리에도 긍정적인 영향을 준다.
특히 3월의 쑥은 잎이 연하면서도 영양학적인 약성이 가장 최고조에 달하는 시기다. 평소 몸이 차거나 면역력이 약해진 경우, 이 시기의 쑥을 국이나 떡 등의 형태로 꾸준히 섭취하면 기초 체온을 높이고 신체 저항력을 기르는 데 큰 도움을 받을 수 있다. 쑥의 독특한 향은 심리적인 안정감을 주는 부수적인 효과도 볼 수 있다.
환절기는 신체의 적응력이 시험받는 시기다. 냉이, 주꾸미, 달래, 방풍나물, 쑥과 같은 제철 식재료는 단순한 먹거리를 넘어 자연이 제공하는 천연 영양제와 같다. 각 식재료가 가진 고유의 영양 성분과 올바른 섭취 방법을 숙지하여 식단에 적극적으로 활용한다면, 나른한 봄철을 활기차고 건강하게 보낼 수 있을 것이다.
매일 보는 나만의 운세 리포트! 오늘 하루는 어떨까?